Prosimy, odblokuj wyświetlanie reklam w naszym serwisie, są one związane z rynkiem nieruchomości.
To dzięki nim masz darmowy dostęp do naszych treści.

Z pozdrowieniami zespół KRN.pl :)


telefon

wiadomość

mapa

Działki, Suwałki

Działki na sprzedaż Suwałki (woj. Podlaskie)

Lokalizacja:

Suwałki, , ul.

Powierzchnia:

82008 m2

Cena:

7 540 000 zł

Dane szczegółowe

lokalizacja:
Podlaskie, Suwałki
typ obiektu:
działka na sprzedaż
cena:
7 540 000 zł
powierzchnia:
82008 m2
numer ogłoszenia:
43490/3186/OGS
data dodania:
25-11-2025
data modyfikacji:
25-11-2025
jakość wypełnienia oferty:
86%

Szczegóły oferty

Prezydent Miasta Suwałk

ogłasza trzeci przetarg ustny nieograniczony

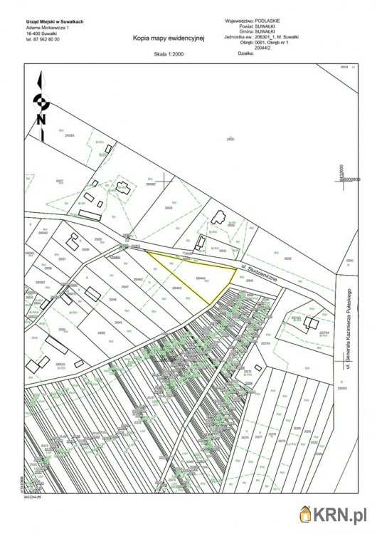
na łączną sprzedaż nieruchomości niezabudowanych, stanowiących własność Miasta Suwałk oznaczonych działkami nr geod.: 31245/3 o powierzchni 1,5341 ha, dla której prowadzona jest księga wieczysta nr SU1S/ Zobacz kontakt00006761/7, 31246/4 o powierzchni 2,4274 ha, wchodząca w skład nieruchomości oznaczonej księgą wieczystą nr SU1S/ Zobacz kontakt00066870/2, 31244/2 o powierzchni 4,2393 ha, wchodząca w skład nieruchomości oznaczonej księgą wieczystą nr SU1S/ Zobacz kontakt00006464/5, położonych przy ul. Zachodniej w Suwałkach. Łączna powierzchnia działek wynosi 8,2008 ha. Na działkach nr 31245/3, 31246/4 zlokalizowana jest sieć telekomunikacyjna. Nabywca zobowiązany będzie do nieodpłatnego znoszenia tej sieci oraz nieodpłatnego udostępniania wejścia na grunt w przypadku jej awarii bądź konserwacji. W przypadku kolidowania sieci z nową inwestycją, nabywca dokona jej przełożenia na wniosek i koszt własny za zgodą właściciela sieci. Działki zgodnie z miejscowym planem zagospodarowania przestrzennego terenu ograniczonego ulicami: Bakałarzewską, Mieszka I, Filipowską i granicami administracyjnymi miasta Suwałk zatwierdzonym Uchwałą XXXV/430/2017 Rady Miejskiej w Suwałkach z dnia 26.07.2017 roku objęte są konturem 21U/P - tereny zabudowy usługowo-produkcyjnej. Nieruchomości o łącznej powierzchni 8,2008 ha przeznaczone są do sprzedaży w drodze przetargu ustnego nieograniczonego.

Cena wywoławcza: 7 540 000 zł brutto (słownie: siedem milionów pięćset czterdzieści tysięcy złotych).

Wadium: 760 000 zł (słownie: siedemset sześćdziesiąt tysięcy złotych).

Przetarg przeprowadzony zostanie na podstawie przepisów ustawy z dnia 21 sierpnia 1997 r. o gospodarce nieruchomościami oraz rozporządzenia Rady Ministrów z dnia 14 września 2004 roku w sprawie sposobu i trybu przeprowadzania przetargów oraz rokowań na zbycie nieruchomości.

Pierwszy przetarg w dniu 21 sierpnia 2025 roku zakończył się wynikiem negatywnym.

Drugi przetarg w dniu 06 listopada 2025 roku zakończył się wynikiem negatywnym.



Przetarg odbędzie się w dniu 04 lutego 2026 roku o godz. 10:00 w siedzibie Urzędu Miejskiego w Suwałkach przy ul. Mickiewicza 1 w sali nr 146.



Warunkiem wzięcia udziału w przetargu jest:

- wpłacenie wadium w podanej wyżej wysokości na rachunek Urzędu Miejskiego w Suwałkach nr Zobacz kontakt76 1240 521 Zobacz kontakt1 1111 0000 4929 8215 Bank Pekao S.A. Oddział w Suwałkach do dnia 30 stycznia 2026 roku. W tym dniu kwota wadium musi być uznana na rachunku Urzędu. Komisja przetargowa przed otwarciem przetargu stwierdzi wniesienie wadium przez uczestników przetargu;

- złożenie, przed otwarciem przetargu, pisemnego oświadczenia o zapoznaniu się z treścią ogłoszenia o przetargu oraz przedmiotem przetargu;

- w przypadku uczestnictwa w przetargu osoby prawnej – przedłożenie aktualnego wypisu z rejestru, właściwych pełnomocnictw sporządzonych notarialnie, dowodów tożsamości osób reprezentujących podmiot;

- w przypadku uczestnictwa w przetargu osoby fizycznej – osobiste stawiennictwo w dniu przetargu z dowodem tożsamości lub reprezentowanie przez pełnomocnika na podstawie pełnomocnictwa sporządzonego notarialnie;

- w przypadku uczestnictwa w przetargu jednego ze współmałżonków – przedłożenie pisemnej zgody drugiego małżonka na nabycie nieruchomości z podpisem notarialnie poświadczonym. Osoby pozostające w związku małżeńskim, a zamierzające nabyć nieruchomość z majątku odrębnego zobowiązane są złożyć stosowne oświadczenie. Osoby nie pozostające w związku małżeńskim zobowiązane są złożyć komisji przetargowej przed przystąpieniem do przetargu pisemne oświadczenie, iż nie pozostają w związku małżeńskim.

W przypadku uchylenia się nabywcy od zawarcia umowy sprzedaży wadium nie podlega zwrotowi.

Koszty sporządzenia umowy notarialnej ponosi nabywca.

Szczegółowych informacji dotyczących przetargu udziela Wydział Geodezji i Gospodarki Nieruchomościami Urzędu Miejskiego w Suwałkach przy ul. Mickiewicza 1, pokój nr 141; telefon (87) 562-81-41.





Klauzula informacyjna RODO

Zgodnie z art. 13 ust. 1 i 2 rozporządzenia Parlamentu Europejskiego i Rady (UE) 2016/679 z dnia 27 kwietnia 2016 r. w sprawie ochrony osób fizycznych w związku z przetwarzaniem danych osobowych i w sprawie swobodnego przepływu takich danych oraz uchylenia dyrektywy 95/46/WE (ogólne rozporządzenie o ochronie danych) (Dz. Urz. UE L 119 z 04.05.2016, str. 1), dalej „RODO”, informuję, że:

a) Administratorem Pani/Pana danych osobowych jest: Urząd Miejski w Suwałkach, z siedzibą przy ul. Mickiewicza 1, 16-400 Suwałki, 087 – 562 80 00 reprezentowany przez Prezydenta Miasta Suwałk.

b) Inspektorem ochrony danych osobowych w Urzędzie Miejskim w Suwałkach jest Pan Rafał Luto, Zobacz kontaktiod@um.suwalki.pl.

c) Pani/Pana dane osobowe przetwarzane będą w celu przeprowadzenia procedury przetargowej związanej ze sprzedażą nieruchomości zgodnie z przepisami ustawy z dnia 21 sierpnia 1997 r. o gospodarce nieruchomościami.

d) Dane nie będą udostępniane podmiotom innym niż uprawnione na podstawie przepisów prawa oraz podmiotom, którym dane zostały powierzone do przetwarzania.

e) Pani/Pana dane osobowe mogą być przekazywane wyłącznie organom władzy publicznej oraz podmiotom wykonującym zadania publiczne lub działającym na zlecenie organów władzy publicznej, w zakresie i w celach, które wynikają z przepisów powszechnie obowiązującego prawa oraz innym podmiotom, które na podstawie stosownych umów podpisanych z administratorem przetwarzają dane osobowe.

f) Dane osobowe będą przechowywane przez okres niezbędny do realizacji zadania, do którego dane zostały zebrane, a następnie przez czas oraz w zakresie wymaganym przez przepisy prawa (ustawa z dnia 14 lipca 1983 r. o narodowym zasobie archiwalnym i archiwach, Dz. U. z 2020 r. poz. 164 t.j.; Rozporządzenie Prezesa Rady Ministrów z dnia 18 stycznia 2011 r. w sprawie instrukcji kancelaryjnej, jednolitych rzeczowych wykazów akt oraz instrukcji w sprawie organizacji i zakresu działania archiwów zakładowych, Dz. U. z 2011 r., Nr 14, poz. 67).

g) Osoba, której dane dotyczą ma prawo dostępu do treści swoich danych, ich sprostowania, ograniczenia przetwarzania. Nie przysługuje prawo do usunięcia, do przenoszenia oraz sprzeciwu wobec przetwarzania danych.

h) Osoba, której dane osobowe są przetwarzane ma prawo wnieść skargę do Prezesa Urzędu Ochrony Danych Osobowych w związku z przetwarzaniem danych.

i) Podanie danych wynika z przepisów ustawy i jest obowiązkowe. Ich niepodanie uniemożliwi udział w postępowaniu przetargowym. Podanie danych w celach kontaktowych jest dobrowolne, służy usprawnieniu komunikacji.

j) Dane nie będą podlegały zautomatyzowanemu podejmowaniu decyzji, w tym profilowaniu.



Kontakt:
Urząd Miasta Suwałki
tel: (87) 562-81-41
Zobacz kontaktorg@um.suwalki.pl


Oferta wysłana z programu dla biur nieruchomości ASARI CRM (asaricrm.com)



Kontakt:
Numer telefonu: (87) 562-81-41
Adres email: Zobacz kontaktorg@um.suwalki.pl

Oceń ofertę


0


41 wydruk błąd schowek

Ostatnio przeglądane

 

 

 

pobieranie

Pobierz wzór umowy

Umowa przedwstępna sprzedaży

wybierz plik do pobrania
doc pdf

 

 

Deweloperzy

);