Prosimy, odblokuj wyświetlanie reklam w naszym serwisie, są one związane z rynkiem nieruchomości.
To dzięki nim masz darmowy dostęp do naszych treści.

Z pozdrowieniami zespół KRN.pl :)


telefon

wiadomość

mapa

Działki, Kowale Oleckie, ul. Witosa

Działki na sprzedaż Kowale Oleckie (woj. Warmińsko-Mazurskie), ul. Witosa

Lokalizacja:

Kowale Oleckie, , ul. Witosa

Powierzchnia:

2400 m2

Cena:

200 000 zł

Dane szczegółowe

lokalizacja:
Warmińsko-Mazurskie, Kowale Oleckie, ul. Witosa
typ obiektu:
działka na sprzedaż
cena:
200 000 zł
powierzchnia:
2400 m2
numer ogłoszenia:
EMP-GS-10412
data dodania:
12-03-2026
data modyfikacji:
12-03-2026
jakość wypełnienia oferty:
90%

Szczegóły oferty


Do działki dojedziesz wklejając w Google Mapa 54.163433, 22.423021
https://maps.app.goo.gl/EYT89edVD2rAWoPF6
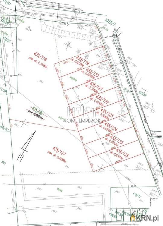
Na sprzedaż 10 działek pod zabudowę szeregową (numery ewidencyjne Zobacz kontakt435/19-435/126) o powierzchni ok. 240mkw każda.
Działki są w trakcie podziału z działki 435/66, na podstawie wydanych warunków zabudowy.
Decyzja przewiduje budowę 10 budynków jednorodzinnych w zabudowie szeregowej wraz z niezbędną infrastrukturą techniczną.
Możliwość zakupu działek 435/18 (2006mkw) oraz 435/127 (2958mkw).

Zapraszam do kontaktu
Maciej Adamczyk
Zobacz kontakt883 106 453
Opis oferty zawarty na stronie internetowej sporządzany jest na podstawie oględzin nieruchomości oraz informacji uzyskanych od właściciela, może podlegać aktualizacji i nie stanowi oferty określonej w art. 66 i następnych K.C.
Oferta wysłana z systemu Galactica Virgo

Kontakt do agenta:
Maciej Adamczyk
Zobacz kontaktmaciej.adamczyk@homeemperor.pl
Zobacz kontakt883106453
Zobacz kontakt883 106 453

Oceń ofertę


9.99


488 wydruk błąd schowek

Ostatnio przeglądane

 

 

 

pobieranie

Pobierz wzór umowy

Umowa przedwstępna sprzedaży

wybierz plik do pobrania
doc pdf

 

 

Deweloperzy

);