Prosimy, odblokuj wyświetlanie reklam w naszym serwisie, są one związane z rynkiem nieruchomości.
To dzięki nim masz darmowy dostęp do naszych treści.

Z pozdrowieniami zespół KRN.pl :)


telefon

wiadomość

mapa

Działki, Łańcut

Działki na sprzedaż Łańcut (woj. Podkarpackie)

Lokalizacja:

Łańcut, , ul.

Powierzchnia:

17596 m2

Cena:

2 287 480 zł

Dane szczegółowe

lokalizacja:
Podkarpackie, Łańcut
typ obiektu:
działka na sprzedaż
cena:
2 287 480 zł
powierzchnia:
17596 m2
numer ogłoszenia:
35899/3186/OGS
data dodania:
28-06-2023
data modyfikacji:
04-07-2023
jakość wypełnienia oferty:
86%

Szczegóły oferty

BURMISTRZ MIASTA ŁAŃCUTA

ogłasza drugi przetarg ustny nieograniczony

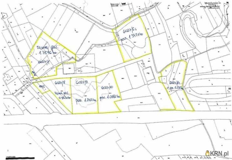
na sprzedaż nieruchomości niezabudowanych stanowiących własność Gminy Miasta Łańcuta, a oznaczonych jako działki: 6027/1 o pow. 1.7053 ha, 6027/8 o pow. 0.7291 ha, 6027/9 o pow. 1.2412 ha, 6027/14 o pow. 1.2515 ha, 6027/6 o pow. 1.5471 ha, 6027/10 o pow. 1.0681 ha, objętych księgą wieczystą nr RZ1A/ Zobacz kontakt00023570/7 oraz działki nr 134/2 o pow. 0.0543 ha i 134/5 o pow. 0.1339 ha, objętych księgą wieczystą KW Nr RZ1A/ Zobacz kontakt00003885/2, położonych w Łańcucie przy ul. Polnej. Cena wywoławcza nieruchomości sprzedawanych położonych w terenie obiektów produkcyjnych, składowych i magazynowych oznaczonych symbolem P/U, dla działki nr:

1) 6027/1 i 134/2 (kompleks o łącznej pow. 1.7596 ha)

wynosi 2 287 480,00 zł, wadium w wysokości 10% ceny wywoławczej, w kwocie 228 748,00 zł,

2) 6027/8 i 134/5 (kompleks o łącznej pow. 0.8630 ha)

wynosi 1 121 900,00 zł, wadium w wysokości 10% ceny wywoławczej, w kwocie 112 190,00 zł,

3) 6027/9 o pow. 1.2412 ha,

wynosi 1 613 560,00 zł, wadium w wysokości 10% ceny wywoławczej, w kwocie 161 356,00 zł,

4) 6027/14 o pow. 1.2515 ha,

wynosi 1 626 950,00 zł, wadium w wysokości 10% ceny wywoławczej, w kwocie 162 695,00 zł,

5) 6027/6 o pow. 1.5471 ha,

wynosi 2 011 230,00 zł, wadium w wysokości 10% ceny wywoławczej, w kwocie 201 123,00 zł,

6) 6027/10 o pow. 1.0681 ha,

wynosi 1 388 530,00 zł, wadium w wysokości 10% ceny wywoławczej, w kwocie 138 853,00 zł.

Działki niezabudowane, sklasyfikowane w ewidencji gruntów i budynków jako grunty rolne i zielone. Obszar ten to teren inwestycyjny, który został utworzony z zadania pn. „Tworzenie warunków dla rozwoju przedsiębiorczości na terenie ROF”, to jest Strefa Aktywności Gospodarczej. Przedmiotowe działki stanowić będą ofertę inwestycyjną dla przyszłych inwestorów, dedykowane są w szczególności dla małych i średnich przedsiębiorstw. Teren działek płaski, regularny, w części wydłużony. Działki z dogodnym dostępem do urządzeń infrastruktury technicznej tj. sieci wodociągowej, kanalizacyjnej i energetycznej. Posiadają dostęp z dróg publicznych przez wydzielone drogi wewnętrzne - asfaltowe.

Przedmiotowy teren objęty jest Miejscowym Planem Zagospodarowania Przestrzennego uchwalonego Uchwałą Nr XLII/274/2021 Rady Miasta Łańcuta z dnia 8 września 2021 r. Według ww. planu działki położone są w terenie oznaczonym symbolem P/U, tereny obiektów produkcyjnych, składowych i magazynów oraz usług.

Nieruchomości objęte przetargiem są wolne od obciążeń, jak również nie ciążą na nich żadne zobowiązania.

Do ceny sprzedaży działek będzie doliczony podatek VAT 23%.

Termin do złożenia wniosku przez osoby, którym przysługiwało pierwszeństwo w nabyciu nieruchomości na podstawie art. 34 ust.1 pkt. 1 i 2 ustawy z dnia 21 sierpnia 1997 r. o gospodarce nieruchomościami, upłynął dnia 17 stycznia 2022 r., zgodnie z wywieszonym wykazem.

Nieruchomości były już przedmiotem przetargu ustnego nieograniczonego, ogłoszonych na dzień: 23.03.2022 r., 30.06.2022 r., 20.10.2022 (dla pkt. 1-4) oraz w dniu 28.04.2022 r., 9.08.2022 r., 17.11.2022 r. (dla pkt 5-6) i 16.03.2023 r. (dla pkt 1-6) zakończonych wynikiem negatywnym.

Warunkiem przystąpienia do przetargu jest wniesienie wadium. Wadium w wysokości 10% ceny wywoławczej należy wnieść w pieniądzu, najpóźniej do dnia 19 czerwca 2023 r. na rachunek bankowy Urzędu Miasta Łańcuta, prowadzony w PKO Bank Polski S.A. Nr Zobacz kontakt62 1020 439 Zobacz kontakt1 0000 6502 0195 3918. Przetarg odbędzie się w dniu 22 czerwca 2023 r. o godzinie 10:00 w sali nr 27 (I piętro) Urzędu Miasta Łańcuta, Plac Sobieskiego 18. W tytule przelewu należy wpisać numer działek. Za datę wniesienia wadium uznaje się datę wpływu środków na rachunek bankowy Urzędu. Wysokość minimalnego postąpienia ustalają uczestnicy przetargu, z tym że postąpienie nie może wynosić mniej niż 1% ceny wywoławczej, z zaokrągleniem w górę do pełnych złotych.

Ogłoszenie o przetargu wywieszone zostało na tablicy ogłoszeń w siedzibie Urzędu Miasta Łańcuta, Plac Sobieskiego 18, oraz na stronie internetowej w Biuletynie Informacji Publicznej Urzędu Miasta Łańcuta (zakładka nieruchomości). Informacje o nieruchomości można uzyskać w Wydziale Gospodarki Przestrzennej i Mieniem Urzędu Miasta Łańcuta, Plac Sobieskiego 18, pokój nr 25 (I piętro) w godzinach urzędowania, telefonicznie pod numerem Zobacz kontakt17 24 90 409 i mailowo pod adresem: Zobacz kontaktnieruchomosci@um-lancut.pl.

Cena nieruchomości podlega zapłacie nie później niż do dnia zawarcia umowy przenoszącej własność. Uczestnik dopuszczony do przetargu może działać przez pełnomocnika, który winien posiadać stosowne pełnomocnictwo szczególne do udziału w przetargu imieniem mocodawcy.

Wszystkie koszty związane z zawarciem umowy przenoszącej własność nieruchomości oraz ewentualnej umowy przedwstępnej ponosi nabywca. Wadium wniesione przez oferenta, który przetarg wygrał, zaliczone zostanie na poczet ceny nabycia. Jeżeli osoba ustalona jako nabywca nieruchomości nie przystąpi bez usprawiedliwienia do zawarcia umowy w miejscu i w terminie podanych w zawiadomieniu, organizator przetargu może odstąpić od zawarcia umowy, a wpłacone wadium nie podlega zwrotowi.

Do sprzedaży nieruchomości mają zastosowanie przepisy ustawy o podatku od towarów i usług obowiązujące w dniu zawarcia notarialnej umowy sprzedaży. Pozostałym uczestnikom przetargu wadium zostanie zwrócone niezwłocznie po jego zamknięciu, jednak nie później niż przed upływem 3 dni.

Organizator zastrzega sobie prawo unieważnienia przetargu z ważnych powodów i z tego tytułu uczestnikom przetargu nie przysługuje żadne roszczenie przeciwko organizatorowi przetargu.



Z up. BURMISTRZA

Michał Mglej

Zastępca Burmistrza



Kontakt:
Urząd Miasta Łańcut
tel: Zobacz kontakt17 24 90 409

Zobacz kontakturzad@um-lancut.pl


Oferta wysłana z programu dla biur nieruchomości ASARI CRM (asaricrm.com)



Kontakt:
Numer telefonu: Zobacz kontakt17 24 90 409

Adres email: Zobacz kontakturzad@um-lancut.pl

Oceń ofertę


9.99


1183 wydruk błąd schowek

Ostatnio przeglądane

 

 

 

pobieranie

Pobierz wzór umowy

Umowa przedwstępna sprzedaży

wybierz plik do pobrania
doc pdf

 

 

Deweloperzy

);