Prosimy, odblokuj wyświetlanie reklam w naszym serwisie, są one związane z rynkiem nieruchomości.
To dzięki nim masz darmowy dostęp do naszych treści.

Z pozdrowieniami zespół KRN.pl :)


telefon

wiadomość

mapa

Działki, Kąty Rybackie

Działki na sprzedaż Kąty Rybackie (woj. Pomorskie)

Lokalizacja:

Kąty Rybackie, , ul.

Powierzchnia:

1701 m2

Cena:

1 590 000 zł

Dane szczegółowe

lokalizacja:
Pomorskie, Kąty Rybackie
typ obiektu:
działka na sprzedaż
cena:
1 590 000 zł
powierzchnia:
1701 m2
numer ogłoszenia:
DJ194034
data dodania:
02-04-2026
data modyfikacji:
02-04-2026
jakość wypełnienia oferty:
86%

Szczegóły oferty

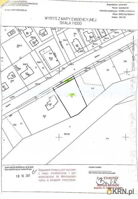
Na sprzedaż działka budowlana w województwie pomorskim w powiecie nowodworskim w gminie Sztutowo na Mierzei Wiślanej.Działka usługowo - mieszkaniowa w pierwszej linii brzegowej Zalewu Wiślanego, w centrum Kątów Rybackich przy ul. Rybackiej. Super lokalizacja z przepięknym widokiem na wodę.Teren objęty MPZP, działkaposiada wszelkie zgody w tym pozwolenie na budowę dla budynku mieszkalno-usługowego jak na wizualizacjach.• Powierzchnia: 1701 m2• Teren płaski, prostokątna ok. 35 m x 48 m, obwód 165 m• Media: woda miejska, prąd, kanalizacja (w drodze).• Dojazd: położna wzdłuż głównej drogi wojewódzkiej prowadzącej do Krynicy Morskiej.Serdecznie zapraszam na prezentację

Oceń ofertę


0


285 wydruk błąd schowek

Ostatnio przeglądane

 

 

 

pobieranie

Pobierz wzór umowy

Umowa przedwstępna sprzedaży

wybierz plik do pobrania
doc pdf

 

 

Deweloperzy

);