Prosimy, odblokuj wyświetlanie reklam w naszym serwisie, są one związane z rynkiem nieruchomości.
To dzięki nim masz darmowy dostęp do naszych treści.

Z pozdrowieniami zespół KRN.pl :)


telefon

wiadomość

mapa

Działki, Dołuje

Działki na sprzedaż Dołuje (woj. Zachodniopomorskie)

Lokalizacja:

Dołuje, , ul.

Powierzchnia:

1230 m2

Cena:

430 500 zł

oferta nieaktualna

Dane szczegółowe

lokalizacja:
Zachodniopomorskie, Dołuje
typ obiektu:
działka na sprzedaż
cena:
430 500 zł
powierzchnia:
1230 m2
media:
prąd, woda
numer ogłoszenia:
IDN31975
data dodania:
14-07-2022
data modyfikacji:
03-12-2025
jakość wypełnienia oferty:
96%

Szczegóły oferty

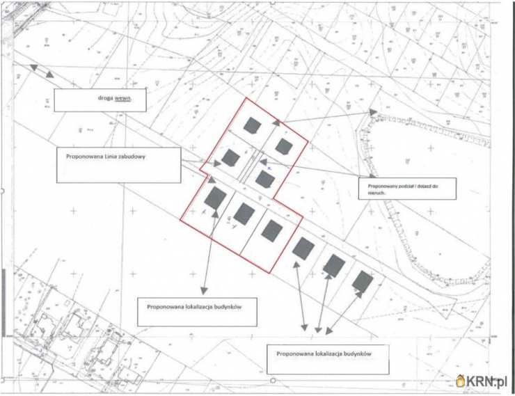
Przedmiotem zbycia są działki położone w Dołujach, gm. Dobra.

Powierzchnie działek: 785m2, 840m2, 900m2 oraz 1230m2.

Dojazd do terenu inwestycji drogą powiatową- bitumiczną z chodnikami i oświetleniem ul. Żubrzą w kierunku m. Kościno. Z ulicy Żubrzej wykonany jest zjazd na drogę wewnętrzną utwardzoną prowadzącą do terenu działek.

Droga wewnętrzna będzie zbywana nowym właścicielom wraz z udziałem w drodze wewnętrznej.

Do nieruchomości można dojechać z różnych stron:

-od strony m. Stobno/ Gumieńce – drogą, która obecnie będzie remontowana przez Starostwo Powiatowe, co zapewni komfort poruszania,

-od strony Mierzyna i Lubieszyna KD nr 10.


Działki położone są na piaszczystym, nie zalewowym terenie na wzgórzu, z którego rozciąga się krajobraz spokojnej okolicy. Klasyfikacja gruntu nie wymaga wyłączenia z produkcji rolniczej. Droga dojazdowa do działek będzie odgrodzona szlabanem dzięki czemu powstanie zamknięte osiedle.

Przy wjeździe na drogę wewnętrzną znajduje się przystanek komunikacji miejskiej, w pobliżu jest szkoła podstawowa, kościół, Straż gminna, apteki, sklepy spożywcze, oraz przychodnia medycyny rodzinnej.

Obecnie trwa postępowanie o wydanie warunków zabudowy dla działek dla realizacji inwestycji budowy domów jednorodzinnych w zabudowie wolnostojącej.

Zapewnione media: sieć wodociągowa, sieć eNN, bezodpływowy zbiornik na nieczystości.



---------------------------------------------------------------------------------------------
Idea Nieruchomości
ul. Niemcewicza 14H
71-520 Szczecin
tel. Zobacz kontakt91 307 08 66, Zobacz kontakt881 222 020
http://idea.szczecin.pl
https://www.facebook.com/idea.szczecin




Oferta wysłana z programu dla biur nieruchomości ASARI CRM (asaricrm.com)



Kontakt:
Numer telefonu: Zobacz kontakt881 222 020
Adres email: Zobacz kontaktmariusz@idea.szczecin.pl
Numer licencji pośrednika: 5183

Oceń ofertę


3


498 wydruk błąd schowek

Ostatnio przeglądane

 

 

 

pobieranie

Pobierz wzór umowy

Umowa przedwstępna sprzedaży

wybierz plik do pobrania
doc pdf

 

 

Deweloperzy

);