Prosimy, odblokuj wyświetlanie reklam w naszym serwisie, są one związane z rynkiem nieruchomości.
To dzięki nim masz darmowy dostęp do naszych treści.

Z pozdrowieniami zespół KRN.pl :)


telefon

wiadomość

mapa

Mieszkanie, Sopot, Górny Sopot

Mieszkanie na sprzedaż Sopot (woj. Pomorskie), Górny Sopot

Lokalizacja:

Sopot, Górny Sopot, ul.

Powierzchnia:

97.48 m2

Cena:

1 750 000 zł

Dane szczegółowe

lokalizacja:
Pomorskie, Sopot, Górny Sopot
typ obiektu:
mieszkanie na sprzedaż
cena:
1 750 000 zł
pokoi:
5
piętro:
3
ilość pięter w budynku:
4
powierzchnia:
97.48 m2
powierzchnia dodatkowa:
balkon, piwnica
media:
gaz
numer ogłoszenia:
HEX732490
data dodania:
18-06-2025
data modyfikacji:
10-09-2025
jakość wypełnienia oferty:
82%

Szczegóły oferty

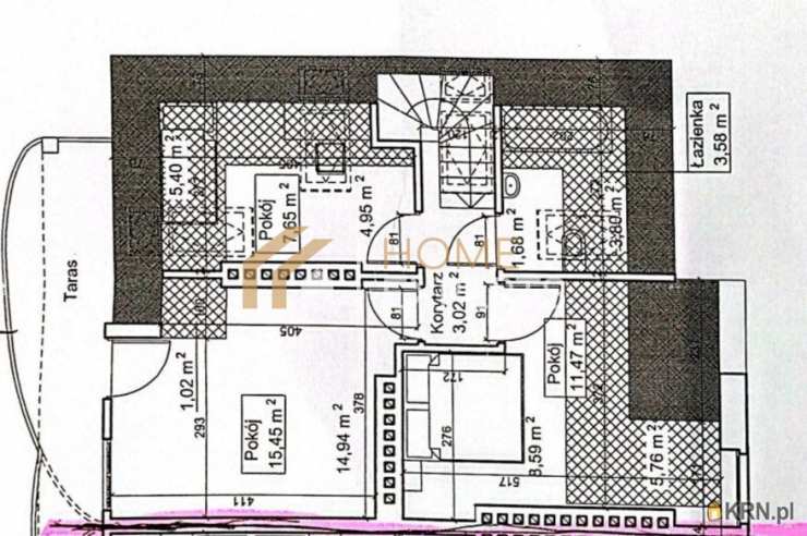
REZERWACJA. Brak możliwości prezentacji. Jeśli szukacie Państwo podobnej, niepublikowanej oferty, zapraszam do kontaktu telefonicznego pod numerem: Zobacz kontakt729 911 814.Do sprzedaży oferuję przestronne i słoneczne mieszkanie położone w reprezentacyjnej kamienicy w otoczeniu bujnej zieleni i klimatycznej architektury Górnego Sopotu.Mieszkanie dwupoziomowe o trójstronnym doświetleniu (południe, zachód, północ) z dużymi możliwościami aranżacyjnymi zarówno dla rodziny jak i inwestora. Nadbudowa kamienicy, której rezultatem było powstanie omawianego mieszkania została zakończona w 2012 roku.Pomieszczenia i powierzchnie:Poziom I: przedpokój 7,45m2 salon 25,19m2pokój 11,1m2kuchnia 8,47m2 łazienka 2,43m2pomieszczenie gospodarcze 1,6m2 klatka schodowa 3,87m2 Poziom II: przedpokój 2,34m2łazienka 3,1m2 pokój 10,69m2 pokój 15,15m2 pokój 6,1m2.Powierzchnia z KW: 97,48m2. Suma powierzchni po podłodze: 124,34m2Do mieszkania przynależy: balkon (4m2) oraz taras (10m2) z widokiem na morze. Istnieje możliwość korzystania z czystej i suchej piwnicy (7m2), która posiada dostęp do wody oraz okno.Opis budynku: reprezentacyjna kamienica z 1960 roku, położona na terenie ogrodzonej, monitorowanej posesji. Prężnie działająca Wspólnota: na jesień 2025 zaplanowano (jest uchwała) remont klatki schodowej. Media: gaz, prąd, kanalizacja, TV/Internet. Niski czynsz: 635zł.Ogrzewanie gazowe. Opis lokalizacji:Znane i lubiane: ul. Bohaterów Monte Cassino (Monciak), plaża i molo w Sopocie, Opera Leśna, Teatr Wybrzeże - Scena Kameralna, Teatr Atelier im. Agnieszki Osieckiej, Stadion Leśny, wszystko w zasięgu krótkiego spaceru.Komunikacja: linie autobusowe, linie trolejbusowe, pociągi dalekobieżne oraz Szybka Kolej Miejska (stacja Sopot).Rekreacja: liczne ścieżki rowerowe, w sąsiedztwie Park Jordanowski zatopiony w zieleni dla miłośników sportu i wypoczynku na świeżym powietrzu, Łysa Góra z pięknymi widokami na całe Trójmiasto oraz wyciągiem narciarskim.Instytucje: Wydział Zarządzania i Wydział Ekonomiczny Uniwersytetu Gdańskiego, Biblioteka Uniwersytecka, Szkoła Wyższa Psychologii Społecznej, Przedszkole anglojęzyczne, Żłobek "Puchatek", Szkoła Podstawowa, Policja, Urząd Miasta, Urząd Skarbowy, Sąd Rejonowy.Zakupy i usługi: lokalne sklepy z organiczną żywnością, supermarkety, Sopocki Rynek (stacja Sopot Wyścigi), lokalni rzemieślnicy, restauracje, słowem wszystko w zasięgu ręki. Nasi eksperci kredytowi bezpłatnie pomagają w uzyskaniu finansowania na zakup nieruchomości jak i przeprowadzają przez cały proces kredytowy.Polecamy również zaufane firmy architektoniczne, które kompleksowo przeprowadzą przez proces aranżacji wnętrza wedle potrzeb Klienta. Serdecznie zapraszam na prezentację. Niniejsze ogłoszenie ma charakter informacyjny i nie stanowi oferty handlowej w rozumieniu art. 66 § 1 Kodeksu Cywilnego

Oceń ofertę


3


330 wydruk błąd schowek

Ostatnio przeglądane

 

 

 

pobieranie

Pobierz wzór umowy

Umowa przedwstępna sprzedaży

wybierz plik do pobrania
doc pdf

 

 

Deweloperzy

);