Prosimy, odblokuj wyświetlanie reklam w naszym serwisie, są one związane z rynkiem nieruchomości.
To dzięki nim masz darmowy dostęp do naszych treści.

Z pozdrowieniami zespół KRN.pl :)


telefon

wiadomość

mapa

Działki, Dudki

Działki na sprzedaż Dudki (woj. Warmińsko-Mazurskie)

Lokalizacja:

Dudki, , ul.

Powierzchnia:

3751 m2

Cena:

80 000 zł

Dane szczegółowe

lokalizacja:
Warmińsko-Mazurskie, Dudki
typ obiektu:
działka na sprzedaż
cena:
80 000 zł
powierzchnia:
3751 m2
numer ogłoszenia:
43963/3186/OGS
data dodania:
06-02-2026
data modyfikacji:
06-02-2026
jakość wypełnienia oferty:
86%

Szczegóły oferty

OGŁOSZENIE O PRZETARGU



Na podstawie art. 38 ustawy z dnia 21 sierpnia 1997 r. o gospodarce nieruchomościami (t.j. Dz.U. z 2024r., poz. 1145 ze zm.) oraz § 3, 4 i 6 Rozporządzenia Rady Ministrów z dnia 14 września 2004 r. w sprawie sposobu i trybu przeprowadzania przetargów oraz rokowań na zbycie nieruchomości (t.j. Dz. U. z 2021r., poz. 2213) Wójt Gminy Świętajno w pow. oleckim po przetargach przeprowadzonych w dniach 29 sierpnia 2025r.oraz 30 października 2025 r., zakończonych wynikiem negatywnym

ogłasza III przetarg ustny nieograniczony na sprzedaż:

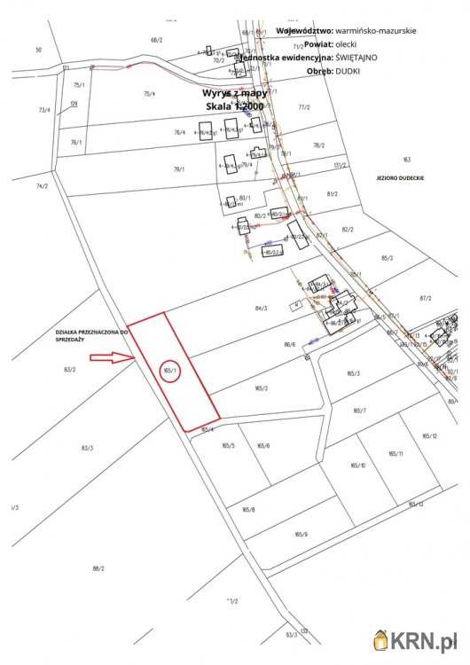
1) działki nr 165/1 o powierzchni 3751 mÂ2, położonej w obrębie DUDKI – KW nr OL1C/ Zobacz kontakt00001966/7.



Cena wywoławcza nieruchomości wynosi 80 000,00 zł.

Wadium wynosi 8 000,00 zł. Wysokość minimalnego postąpienia ustalają uczestnicy przetargu, z tym że postąpienie nie może wynosić mniej niż 1% ceny wywoławczej, z zaokrągleniem w górę do pełnych dziesiątek złotych.



Przedmiotowa nieruchomość jest zwolniona z podatku VAT.

Nieruchomość jest wolna od wszelkich obciążeń i zobowiązań.



Przetarg, odbędzie się w dniu 16 marca 2026r., w budynku Urzędu Gminy, pok. nr 11. o godz. 10:00.



Warunkiem przystąpienia do przetargu jest wpłata wadium w wyżej podanej wysokości na rachunek bankowy BS Olecko Oddz. Świętajno Nr Zobacz kontakt64 9339 000 Zobacz kontakt6 0010 0100 0707 0044 z takim wyprzedzeniem, aby najpóźniej w dniu 12 marca 2026r., nastąpiło uznanie rachunku bankowego. W tytule wpłat wadium należy wskazać oznaczenie nieruchomości, imię i nazwisko uczestnika przetargu, a w przypadku małżeństwa – obojga małżeństwa.

Uczestnicy przetargu zobowiązani są przedstawić komisji przetargowej:

- dowód wpłaty wadium,

- dokument stwierdzający tożsamość i obywatelstwo – dowód osobisty, jeżeli uczestnikiem przetargu jest osoba fizyczna,

- stosowne pełnomocnictwo – pełnomocnicy uczestników przetargu.

Wpłacone wadium zostanie:

- zaliczone na poczet ceny nabycia, jeżeli osoba wpłacająca wygra przetarg,

- zwrócone, jeżeli osoba wpłacająca nie wygra przetargu.

Cenę nabycia prawa własności równą cenie osiągniętej w przetargu, należy wpłacić najpóźniej przed dniem podpisania umowy notarialnej. Termin podpisania notarialnej umowy sprzedaży ustalony zostanie w ciągu 21 dni od dnia rozstrzygnięcia przetargu.

Odstąpienie od przeniesienia prawa własności w formie aktu notarialnego w ustalonym dniu i godzinie z przyczyn nieuzasadnionych przez nabywcę spowoduje przepadek wpłaconego wadium na rzecz organizatora przetargu, a przetarg czyni niebyłym.

Organizator przetargu może:

- od chwili rozpoczęcia odstąpić od jego przeprowadzania z przyczyn uzasadnionych,

- odstąpić od zawarcia umowy notarialnej w razie stwierdzenia, że przetarg został przeprowadzony z naruszeniem prawa. Koszty czynności notarialnych, opłaty sądowe ponosi nabywca.



Świętajno, dnia 5 lutego 2026r.



Kontakt:
Urząd Gminy Świętajno
tel: Zobacz kontakt87 520 70 24
Zobacz kontaktug@swietajno.pl


Oferta wysłana z programu dla biur nieruchomości ASARI CRM (asaricrm.com)



Kontakt:
Numer telefonu: Zobacz kontakt87 520 70 24
Adres email: Zobacz kontaktug@swietajno.pl

Oceń ofertę


0


14 wydruk błąd schowek

Ostatnio przeglądane

 

 

 

pobieranie

Pobierz wzór umowy

Umowa przedwstępna sprzedaży

wybierz plik do pobrania
doc pdf

 

 

Deweloperzy

);